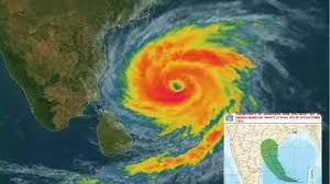
మొంథా తుఫాను ఎఫెక్ట్: తెలంగాణలోని ఆరు జిల్లాలకు రెడ్ అలర్ట్, పలు ప్రాంతాల్లో స్తంభించిన రాకపోకలు
మొంథా తుఫాను ప్రభావంతో తెలంగాణలోని పలు జిల్లాల్లో ఎడతెరిపి లేకుండా కుండపోత వర్షం కురుస్తోంది. ఈ కారణంగా ప్రజలు అప్రమత్తంగా ఉండాలని హైదరాబాద్ వాతావరణ కేంద్రం తాజా హెచ్చరికలు జారీ చేసింది. ముఖ్యంగా, హన్మకొండ, వరంగల్, మహబూబాబాద్, జనగాం, సిద్దిపేట, యాదాద్రి….










